0 Alfred St.

Attleboro, MA 02703

$2,500,000

Price

$2,500,000

Price

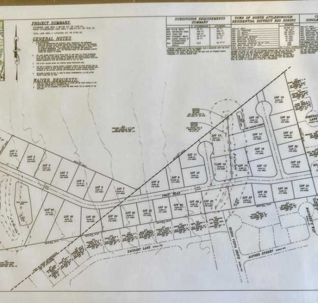
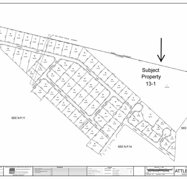
RARE DEVELOPMENT OPPORTUNITY – Approximately 28 Acres of farm land extending from Alfred St. Attleboro to Adamsdale Rd., North Attleborough with a potential for 37 SF home sites. (Also See MLS Listing No. 73466915 for information on the portion located in North Attleborough) Access is off the cul-de-sac on Kilarney Way. The parcel is offered in its entirety. List price reflects price for entire parcel. This property is subject to a Petition to Partition. Seller will secure Land Court approval for best offer. Closing date is subject to Land Court approval. There are no existing leases in place. The property is sold "as is" without warranties or representations whatsoever. Buyer to perform all due diligence. "Proposed subdivision" plan attached. See Offer Instructions attached.

Property Type Land
Property Sub Type Residential
Property Status Active
Time on Market 14 days
MLS# 73466914
Lot Size 668,608 Sq. Ft.
Listed Price $2,500,000
Property Taxes $3,833
Data Source MLS PIN
Patrick Davoodi

Associate

Request showing
This field is for validation purposes and should be left unchanged.
Location

Commercial Sales

We're always happy to speak with you.
617.314.9400

The property listing data and information, or the Images, set forth herein were provided to MLS Property Information Network, Inc. from third party sources, including sellers, lessors, landlords and public records, and were compiled by MLS Property Information Network, Inc. The property listing data and information, and the Images, are for the personal, non-commercial use of consumers having a good faith interest in purchasing, leasing or renting listed properties of the type displayed to them and may not be used for any purpose other than to identify prospective properties which such consumers may have a good faith interest in purchasing, leasing or renting. MLS Property Information Network, Inc. and its subscribers disclaim any and all representations and warranties as to the accuracy of the property listing data and information, or as to the accuracy of any of the Images, set forth herein.

Listing Courtesy of: Asset Protection Group

Listing Agent: Michael L. Katzeff


School data provided by GreatSchools.

The GreatSchools Rating helps parents compare schools within a state based on a variety of school quality indicators and provides a helpful picture of how effectively each school serves all of its students. Ratings are on a scale of 1 (below average) to 10 (above average) and can include test scores, college readiness, academic progress, advanced courses, equity, discipline and attendance data. We also advise parents to visit schools, consider other information on school performance and programs, and consider family needs as part of the school selection process.

Find out more about GreatSchools ratings.

Saved Properties
Saved Neighborhoods

Share


Property Details


Property Type Land
Property Sub Type Residential
County Bristol
Lot Description Farm
Waterfront? No
Water Nearby
Assessments 305400
Adult Community No
Acres 15.35
Town Attleboro
ZIP 02703
Sewer Nearby
Tax Year 2025

Schools


School data provided by GreatSchools.

The GreatSchools Rating helps parents compare schools within a state based on a variety of school quality indicators and provides a helpful picture of how effectively each school serves all of its students. Ratings are on a scale of 1 (below average) to 10 (above average) and can include test scores, college readiness, academic progress, advanced courses, equity, discipline and attendance data. We also advise parents to visit schools, consider other information on school performance and programs, and consider family needs as part of the school selection process.

Find out more about GreatSchools ratings.

Request Showing


MM slash DD slash YYYY
Time(Required)
:
Password

Already have a Senné account? Log in

Sign In


Don't have a Senné account? Sign up

Sign Up


Password(Required)

Already have a Senné account? Log in