524 Main St

Acton, MA 01720

$2,200,000

Price

$2,200,000

Price

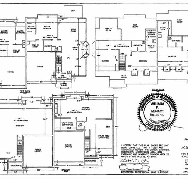
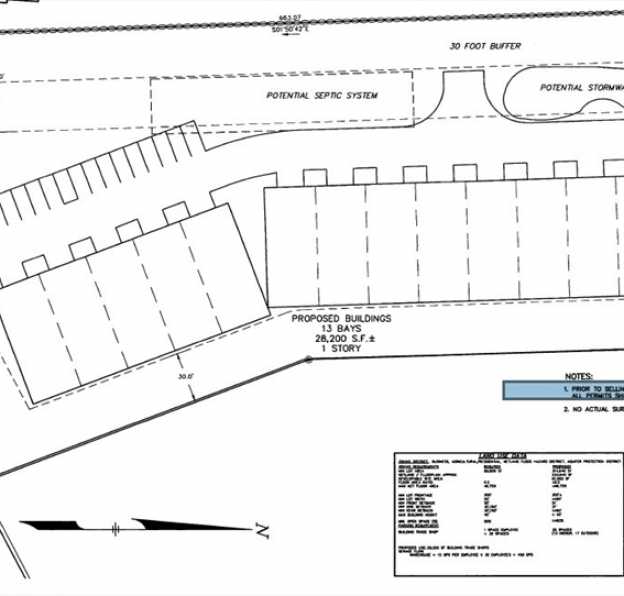
Property is currently zoned Commercial / Light Industrial, offering a straightforward path for buyers seeking commercial or industrial use. The Town has indicated openness to potential residential use; however, any zoning changes, approvals, or permitting are the responsibility of the buyer and subject to municipal review and approval. Seller may consider cooperating with the process with mutually acceptable terms, including deposit structure.Conceptual plans exist for both light-industrial garage bays and residential condominium development. The parcel has been structured as one of two condominium units, which may allow for efficient utilization of allowable Floor Area Ratio (FAR). Buyers are encouraged to perform their own due diligence regarding zoning, permitted uses, development potential, and approvals with the Town of Acton.

Property Type Land
Property Sub Type Commercial
Property Status Active
Time on Market 50 days
MLS# 73476873
Lot Size 188,179 Sq. Ft.
Listed Price $2,200,000
Property Taxes $18,959
Data Source MLS PIN
Maggie Printezis

Senior Associate

Request showing
This field is for validation purposes and should be left unchanged.
Location

Commercial Sales

We're always happy to speak with you.
617.314.9400

The property listing data and information, or the Images, set forth herein were provided to MLS Property Information Network, Inc. from third party sources, including sellers, lessors, landlords and public records, and were compiled by MLS Property Information Network, Inc. The property listing data and information, and the Images, are for the personal, non-commercial use of consumers having a good faith interest in purchasing, leasing or renting listed properties of the type displayed to them and may not be used for any purpose other than to identify prospective properties which such consumers may have a good faith interest in purchasing, leasing or renting. MLS Property Information Network, Inc. and its subscribers disclaim any and all representations and warranties as to the accuracy of the property listing data and information, or as to the accuracy of any of the Images, set forth herein.

Listing Courtesy of: Gibson Sotheby's International Realty

Listing Agent: Paul Chang


School data provided by GreatSchools.

The GreatSchools Rating helps parents compare schools within a state based on a variety of school quality indicators and provides a helpful picture of how effectively each school serves all of its students. Ratings are on a scale of 1 (below average) to 10 (above average) and can include test scores, college readiness, academic progress, advanced courses, equity, discipline and attendance data. We also advise parents to visit schools, consider other information on school performance and programs, and consider family needs as part of the school selection process.

Find out more about GreatSchools ratings.

Saved Properties
Saved Neighborhoods

Share


Property Details


Property Type Land
Property Sub Type Commercial
County Middlesex
Lot Description Wooded, Gentle Sloping
Waterfront? No
Water Nearby
Assessments 1417000
Adult Community No
Acres 4.32
Town Acton
ZIP 01720
Sewer Nearby
Tax Year 2023

Schools


School data provided by GreatSchools.

The GreatSchools Rating helps parents compare schools within a state based on a variety of school quality indicators and provides a helpful picture of how effectively each school serves all of its students. Ratings are on a scale of 1 (below average) to 10 (above average) and can include test scores, college readiness, academic progress, advanced courses, equity, discipline and attendance data. We also advise parents to visit schools, consider other information on school performance and programs, and consider family needs as part of the school selection process.

Find out more about GreatSchools ratings.

Request Showing


MM slash DD slash YYYY
Time(Required)
:
Password

Already have a Senné account? Log in

Sign In


Don't have a Senné account? Sign up

Sign Up


Password(Required)

Already have a Senné account? Log in